Save
Ask
Tour
Hide
Share
$1,250,000
131 Days On Site
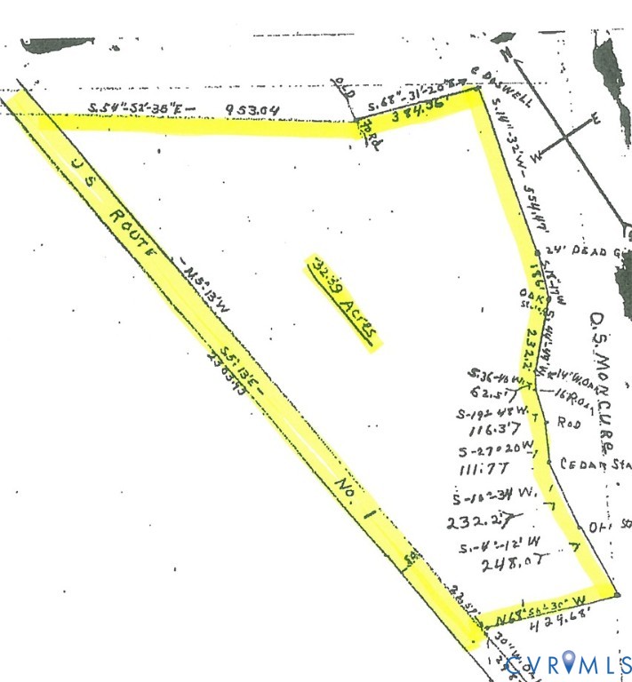
None U.S. Route 1Ruther Glen, VA 22546
For Sale|Unimproved Land|Active
0
Beds
0
Total Baths
Subdivision:
None
County:
Caroline
Listing courtesy of Hometown Realty (804) 347-7153
Call Now: 804-302-3000
Is this the listing for you? We can help make it yours.
804-302-3000
Save
Ask
Tour
Hide
Share
Photos
Discover 36.45 beautiful, wooded acres featuring over 2,000 feet of frontage on US Route 1, located in the growing Carmel Church community. This exceptional property offers both natural beauty and outstanding commercial potential, with public water available on Rt. 1 and public sewer nearby for your Planned Use Development. Ideally situated in the Carmel Church minutes from I-95, with Excellent U. S. Rt. 1 frontage the land offers excellent accessibility for development, making it a prime opportunity for investors or businesses seeking a strategic location. Whether you're looking to develop commercially or hold as an investment, this property is full of potential in a rapidly expanding area.
Save
Ask
Tour
Hide
Share
Listing Snapshot
Price
$1,250,000
Days On Site
131 Days
Bedrooms
N/A
Inside Area (SqFt)
N/A
Total Baths
N/A
Full Baths
N/A
Partial Baths
N/A
Lot Size
36.45 Acres
Year Built
N/A
MLS® Number
2529122
Status
Active
Property Tax
$229.32
HOA/Condo/Coop Fees
N/A
Sq Ft Source
N/A
Friends & Family
React
Comment
Invite
Recent Activity
| 4 months ago | Listing first seen on site | |
| 4 months ago | Listing updated with changes from the MLS® |
General Features
Acres
36.45
Additional Property Use
CommercialFarmHuntingInvestment
Direction Faces
West
Disclosures
Sellers Disclosure Not Available
Property Sub Type
Unimproved Land
Sewer
Public Sewer
Utilities
Water ConnectedCable AvailableNatural Gas Not AvailableElectricity Available
Water Source
Public
Zoning
RP
Save
Ask
Tour
Hide
Share
Exterior Features
Fencing
None
Lot Features
WoodedWetlands
Waterfront
Yes
Community Features
Horse Allowed
Yes
MLS Area
45 - Caroline
Schools
School District
Unknown
Elementary School
Ladysmith
Middle School
Caroline
High School
Caroline
All or a portion of the multiple Listing information is provided by the Central Virginia Regional Multiple Listing Service, LLC, from a copyrighted compilation of listings. All IDX information is provided exclusively for consumers’ personal, non-commercial use and may not be used for any purpose other than to identify prospective properties consumers may be interested in purchasing. All CVR MLS information provided is deemed reliable but is not guaranteed accurate. The compilation of Listings and each individual Listing are ©2026 Central Virginia Regional Multiple Listing Service, LLC. All rights reserved.
Last checked 2026-03-02 11:43 AM UTC.
Last checked 2026-03-02 11:43 AM UTC.
Neighborhood & Commute
Source: Walkscore
Disclosure: Community information and market data powered by Constellation Data Labs. Information is deemed reliable but not guaranteed.
Save
Ask
Tour
Hide
Share
Did you know? You can invite friends and family to your search. They can join your search, rate and discuss listings with you.